8224 Curry Ford Road Rezoning Request for Up To 57 Townhomes

Share 8224 Curry Ford Road Rezoning Request for Up To 57 Townhomes on Facebook Share 8224 Curry Ford Road Rezoning Request for Up To 57 Townhomes on Twitter Share 8224 Curry Ford Road Rezoning Request for Up To 57 Townhomes on Linkedin Email 8224 Curry Ford Road Rezoning Request for Up To 57 Townhomes link

Case #: RZ-26-03-017

This is a community meeting to discuss a proposal to rezone from A-2 to R-2 to allow for the construction of up to 57 townhomes. Currently one single-family home is permitted on the parcel. If this request is approved, townhomes will also be permitted, pending approval of a subdivision plan.

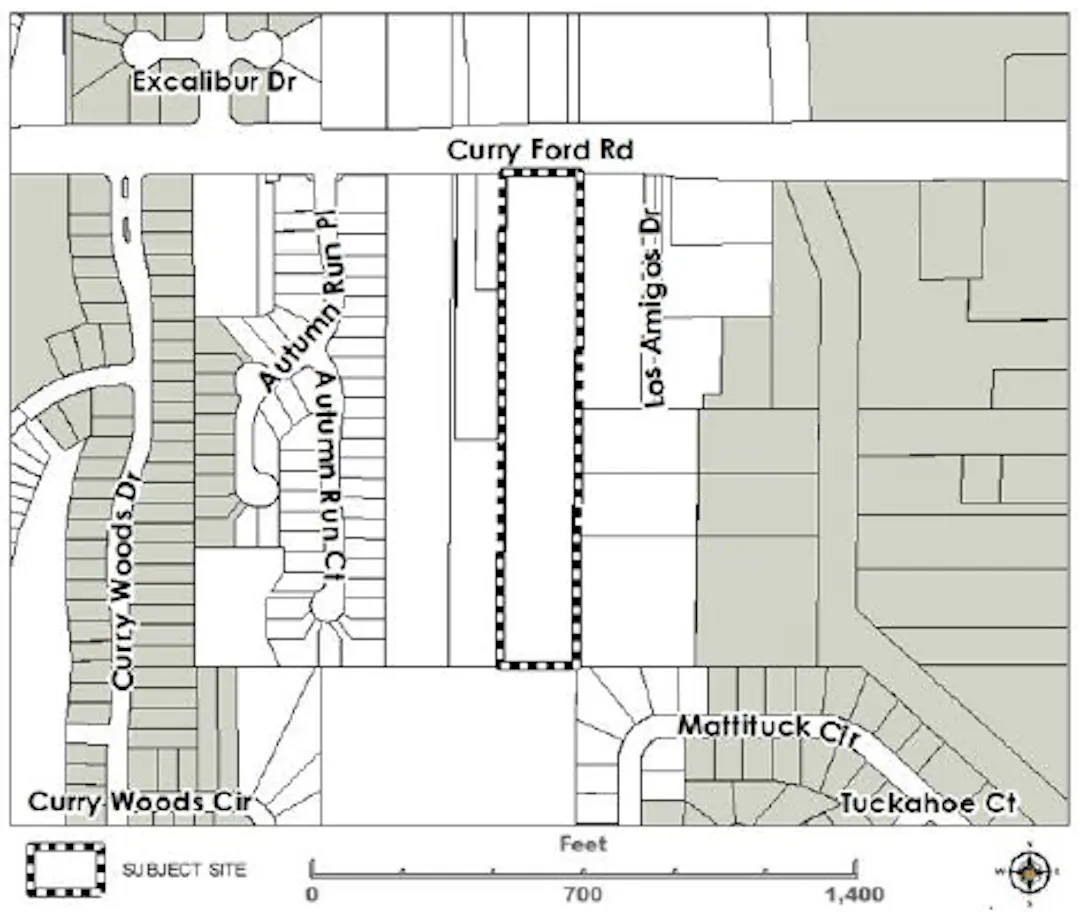
The property is located in District 3 at 8224 Curry Ford Road; generally located north of Pinar Elementary School, south of Curry Ford Road, east of Autumn Run Place, and west of Los Amigos Drive.

The community meeting is 6 p.m. Thursday, March 12, 2026, in the Media Center at Pinar Elementary School, 3701 Anthony Lane, Orlando, FL 32822.



Next Steps:

  1. Following the community meeting, the request will be scheduled for a Planning and Zoning Commission (PZC) Hearing, at which time a notice will be mailed to nearby property owners. The item will also appear on the PZC agenda which can be accessed through the County Calendar. The PZC meets typically every 3rd Thursday of the month at 9:00 a.m. at 201 S. Rosalind Avenue, Downtown Orlando.
  2. Following the PZC hearing, the case will go to the Board of County Commissioners (BCC) in a Recommendation Book as a “consent item” for Board consideration. If the case is pulled from the Recommendation Book by a Commissioner or if the PZC decision is appealed, a separate public hearing before the BCC will be scheduled (typically 1 to 2 months after) and a notice will be mailed to nearby property owners.

What if I can’t attend the meeting? If you are unable to attend the Community Meeting in-person, you can provide your comments using the form at the bottom of this page.

Case #: RZ-26-03-017

This is a community meeting to discuss a proposal to rezone from A-2 to R-2 to allow for the construction of up to 57 townhomes. Currently one single-family home is permitted on the parcel. If this request is approved, townhomes will also be permitted, pending approval of a subdivision plan.

The property is located in District 3 at 8224 Curry Ford Road; generally located north of Pinar Elementary School, south of Curry Ford Road, east of Autumn Run Place, and west of Los Amigos Drive.

The community meeting is 6 p.m. Thursday, March 12, 2026, in the Media Center at Pinar Elementary School, 3701 Anthony Lane, Orlando, FL 32822.



Next Steps:

  1. Following the community meeting, the request will be scheduled for a Planning and Zoning Commission (PZC) Hearing, at which time a notice will be mailed to nearby property owners. The item will also appear on the PZC agenda which can be accessed through the County Calendar. The PZC meets typically every 3rd Thursday of the month at 9:00 a.m. at 201 S. Rosalind Avenue, Downtown Orlando.
  2. Following the PZC hearing, the case will go to the Board of County Commissioners (BCC) in a Recommendation Book as a “consent item” for Board consideration. If the case is pulled from the Recommendation Book by a Commissioner or if the PZC decision is appealed, a separate public hearing before the BCC will be scheduled (typically 1 to 2 months after) and a notice will be mailed to nearby property owners.

What if I can’t attend the meeting? If you are unable to attend the Community Meeting in-person, you can provide your comments using the form at the bottom of this page.

Have a Question?

Submit your question about this proposed project and we will get back to you as soon as possible. Your question may appear publicly on this page.

If you'd like to voice support or opposition to this project, please fill out this form: Planning Feedback Form 

Email
loader image
Didn't receive confirmation?
Seems like you are already registered, please provide the password. Forgot your password? Create a new one now.
Page last updated: 26 Feb 2026, 02:48 PM